每日一圖|沉沒百餘年長江口古船出水 逾600文物重見天日
今日(21日),長江口二號古船成功整體打撈出水。時隔150多年,這艘清代古船重新出現在世人眼前,古船船長約38.1米、寬約9.9米,有31個艙室;調查人員前期潛入水底,在艙內發現碼放整齊的景德鎮窯瓷器等,在船體及周圍還發現大量文物,共計600餘件。
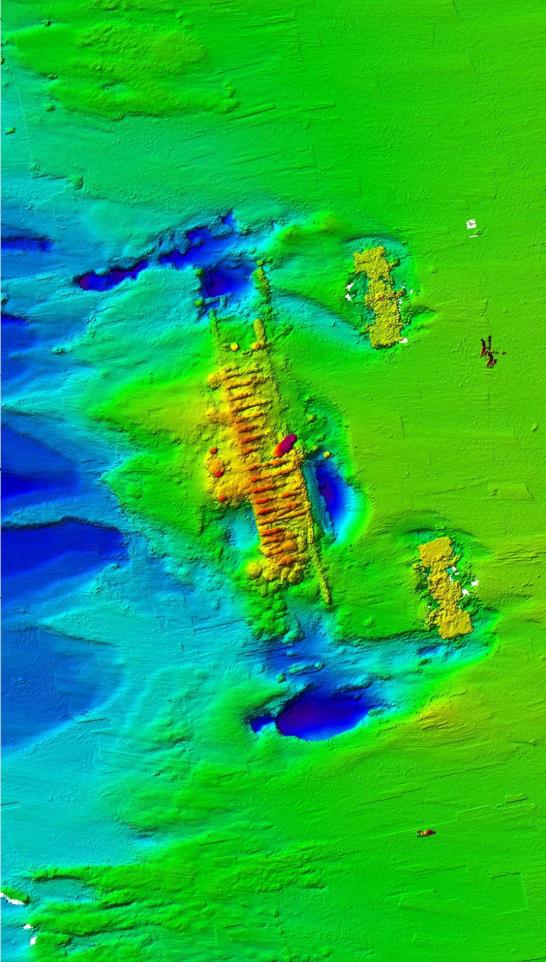
2015年,在國家文物局指導下,上海市文物局組織國家文物局考古研究中心、上海市文物保護研究中心等單位在長江口崇明橫沙水域開展水下考古重點調查時,通過聲吶掃測等技術發現了一艘木質古船,考古編號為「長江口二號」。為進一步摸清長江口二號古船的性質和年代,從2016年開始,國家文物局考古研究中心、上海市文物保護研究中心等國內專業機構,每年對古船進行水下考古調查和多學科研究。
經過7年的水下考古調查勘探,長江口二號古船為木質帆船,確認年代為清代同治時期(公元1862—1875年),所在水域水深8至10米,船體埋藏於5.5米深淤泥中,殘長約38.1米、寬約9.9米,已探明有31個艙室。古船上部的船艏、纜樁、主桅杆、左右舷等結構完整,從目前的勘測情況看,推測為清代上海廣為使用的沙船的可能性最大。通過選取4個艙室進行的小範圍清理,艙內均發現有碼放整齊的景德鎮窯瓷器等精美文物,已經出水完整或可修復的文物種類多、數量大。
長江口二號古船是中國水下考古又一里程碑式的重大發現,是目前國內乃至世界上發現的體量最大、保存最為完整、船載文物豐富的古代木質沉船之一,填補了中國清代晚期大型木帆船研究空白,是彌足珍貴的文化遺產。
相關報道:
